情報更新日:2026年04月03日/広告有効期限:なし
表示閲覧回数(過去30日間):39
お急ぎの方はお電話からお気軽にどうぞ!
087-814-4030 営業時間 / 9:30〜17:30 定休日 / 水曜、日曜、祝日
>物件詳細情報
| 基本情報 | |
|---|---|
| 物件番号 | 4424 |
| 店舗形態 | 事務所 |
| オススメ業種 | 塾・学校・教育関係, 物販関係, 事務所, サービス業 |
| 物件名 | テナントエース木太【木太町】 |
| 物件の状態 | 空き |
| 引越し時期 | 相談 |
| 契約形態と期間 |
普通 |
| 所在地・交通 | |
|---|---|
| 所在地 | 香川県高松市木太町-824-6 |
| 交 通1 | ことでん琴平線伏石駅 徒歩11 |
| 交 通2 | - |
| 賃料 | |
|---|---|
| 賃 料 | 101,200円(税込) |
| 敷 金 |
5ヶ月 |
| 共益費・管理費 | 5,500円(税込) |
| 精算方法 | 実費 |
| その他 | |
|---|---|
| 備考 | ■水道定額2,750円業種により変動有り■駐車場はセット契約■ゴミ回収は各自業者手配■鍵交換費用別途■看板、サイン工事は借主負担■エアコン修理交換は借主負担■仲介手数料:賃料1か月分■賃貸保証等:加入要(賃料保証会社に加入の事。初年度賃料の100%、2年目以降滞納無しの場合10,000円/年)■解約予告:6カ月前■防火対象物使用開始届出書については借主にて提出■建物用途変更手続きについては借主負担 |
| 建物 | |
|---|---|
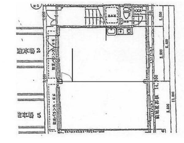
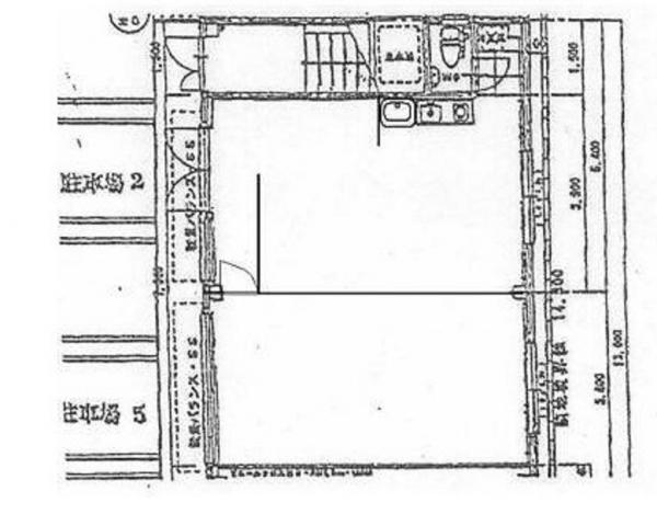
| 建物構造 | 鉄骨造 |
| 建物階建て |
地上2階 |
| 施工年月 | 2001(平成13)年 10月 |
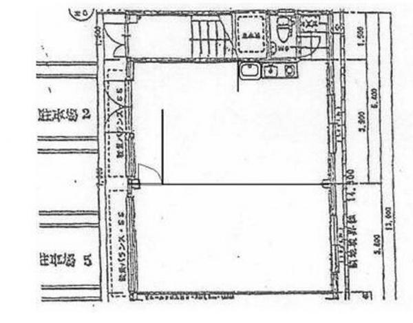
| 募集物件の階数 | 地上 1階 1北号室 |
| 契約面積 | 52.91m2(16.01坪) |
| 用途地域 | 1種住居 |
| 設備 | |
|---|---|
| 水道 | 公営 |
| 下水道 | 公共下水 |
| ガス | LPG |
| エレベータ | 無 |
| エアコン | 有り/個別 |
| トイレ | 有/専用 |
| 給湯室 | 無 |
| キッチン | 有/専用 |
| ネット環境 | 無 |
| 床仕様 | CFシート |
| セキュリティ | 無 |
| 利用時間 | 24時間 |
| シャッター | 有/手動 |
| 照明設備 | 有 |
| 内装業者指定 | 無 |
| 駐車場 | |
|---|---|
| 状 況 | 空有 |
| 駐車料金 | 8,800円(税込) |
| 空き台数 | 2台 |
| 取引情報 | |
|---|---|
| 取引態様 | 媒介 |
| 客付 | 可 |
この物件をチェックした人はこんな物件も見ています
- 国道11号線沿いの鏡面仕上げの外観が特徴の7階建て4階部分34.3坪のオフィスビルです。駐車場は近隣相場税込16,500円です。

香川県高松市塩上町3-2-4
113.38m2(34.30坪)
187,000円(税込)
- 【高松市番町の貸オフィス】◆中央通り沿い◆ 高松市内中心部の「中央通り」沿いの物件です♪東面窓からは高松城、屋島が望めて、室内はもちろん共用部もキレイな物件です。JR高松駅も徒歩2分の便利な場所です!

香川県高松市寿町1-1-8
63.42m2(19.18坪)
賃料未定
- 【香川県高松市塩上町の貸オフィス】 ◆瓦町エリア・国道11号線南側◆琴電琴平線の瓦町駅まで徒歩4分です♪高松第一小中学校にも近いので、学習塾などもいかがでしょうか?

香川県高松市塩上町3-14-14
36.67m2(11.09坪)
55,000円(税込)
- 高松市内を東西に走るパークロード沿いの貸倉庫です♪3坪サイズ(約6帖)で、収納にお困りのお客様へはこちらの倉庫がおススメです!

香川県高松市上之町3-2-7
11.50m2(3.48坪)
33,000円(税込)
- 中村第一ビル6F西号【塩上町】国道11号線沿いの鏡面仕上げの外観が特徴の7階建て4階部分34.3坪のオフィスビルです。駐車場は近隣相場税込16,500円です。ことでん今橋駅まで徒歩3分。

香川県高松市塩上町3-2-4
58.96m2(17.84坪)
99,000円(税込)
今日チェックした物件
お急ぎの方はお電話からお気軽にどうぞ!
087-814-4030 営業時間 / 9:30〜17:30 定休日 / 水曜、日曜、祝日


087-814-4030












087-814-4030